16 Ocak 2026 tarihli ve 33139 sayılı Resmî Gazete’de yayımlanan kararla, Demre ilçesi Yuva Mahallesi sınırları içerisinde yer alan, özel mülkiyete konu 154 ada 5 parsel ve çevresi arkeolojik alan olarak tescillendi.

Kültür ve Turizm Bakanlığı Antalya Kültür Varlıklarını Koruma Bölge Kurulu’nun 9 Ocak 2026 tarihinde yaptığı toplantıda alınan karar, bölgenin kültürel mirasının korunmasını zorunlu hale getirdi. Bu karar, Cumhurbaşkanlığı kararıyla Resmî Gazete’de yayımlandı.

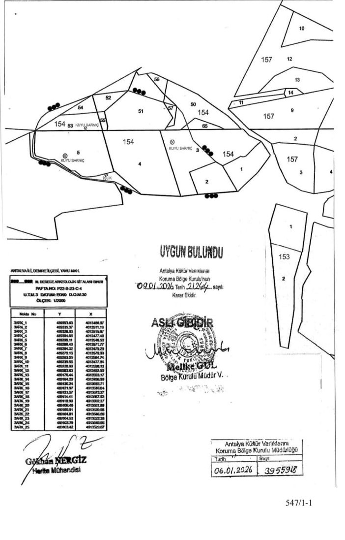
DEMRE’DE BİR ALAN DAHA KORUMA ALTINA ALINDI
Antalya Kültür Varlıklarını Koruma Bölge Kurulu’nun 9 Ocak’ta gerçekleşen toplantısının ardından alınan 21244 sayılı karar ile karar içinde yer alan haritada sınırları belirlenen alanın 3. derece arkeolojik sit alanı olarak tespit edilmesine hükmedildi.

Kararda, alanın kesin korunması gerektiği vurgulanırken, içerisinde tespit edilen taşınmaz kültür varlıklarının korunmasının zorunlu olduğu ifade edildi. Herhangi bir kanıt bulunmadığı haliyle, alanın koruma mevzuatı çerçevesinde yürütülmesi zorunlu hale geldi.





